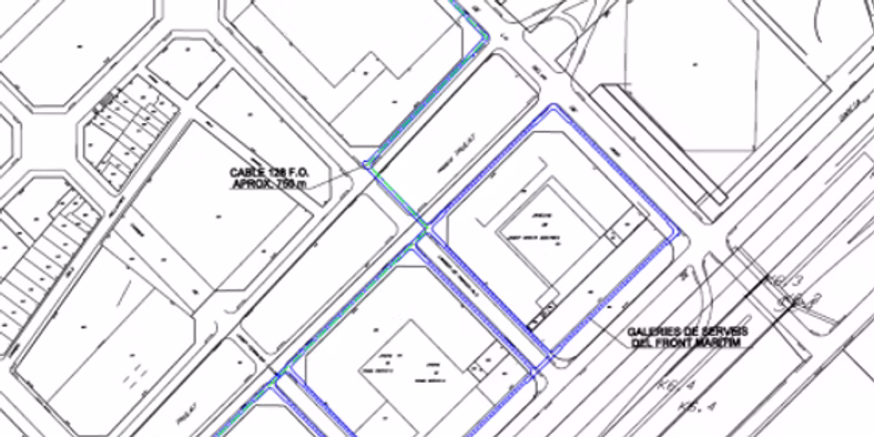
Despliegue FTTH Adamo
Ingeniería del proyecto
ADAMO es un proveedor de servicios de telecomunicaciones en España con una red propia basada en infraestructura de Fibra Óptica.
Provee servicios de Internet de alta velocidad así como otros servicios de telecomunicaciones a clientes residenciales y empresas con la más alta calidad y capacidad.
Las principales actividades realizadas son:
- Apoyo especializado en el despliegue de una red de telecomunicaciones de alta capacidad sobre infraestructura de fibra óptica hasta el hogar (FTTH).
- Apoyo en las fases de planificación, despliegue e inventariado.

